Zmiana organizacji ruchu
A pomniejsz czcionkę A standardowy rozmiar A powiększ czcionkęSzanowni Państwo,
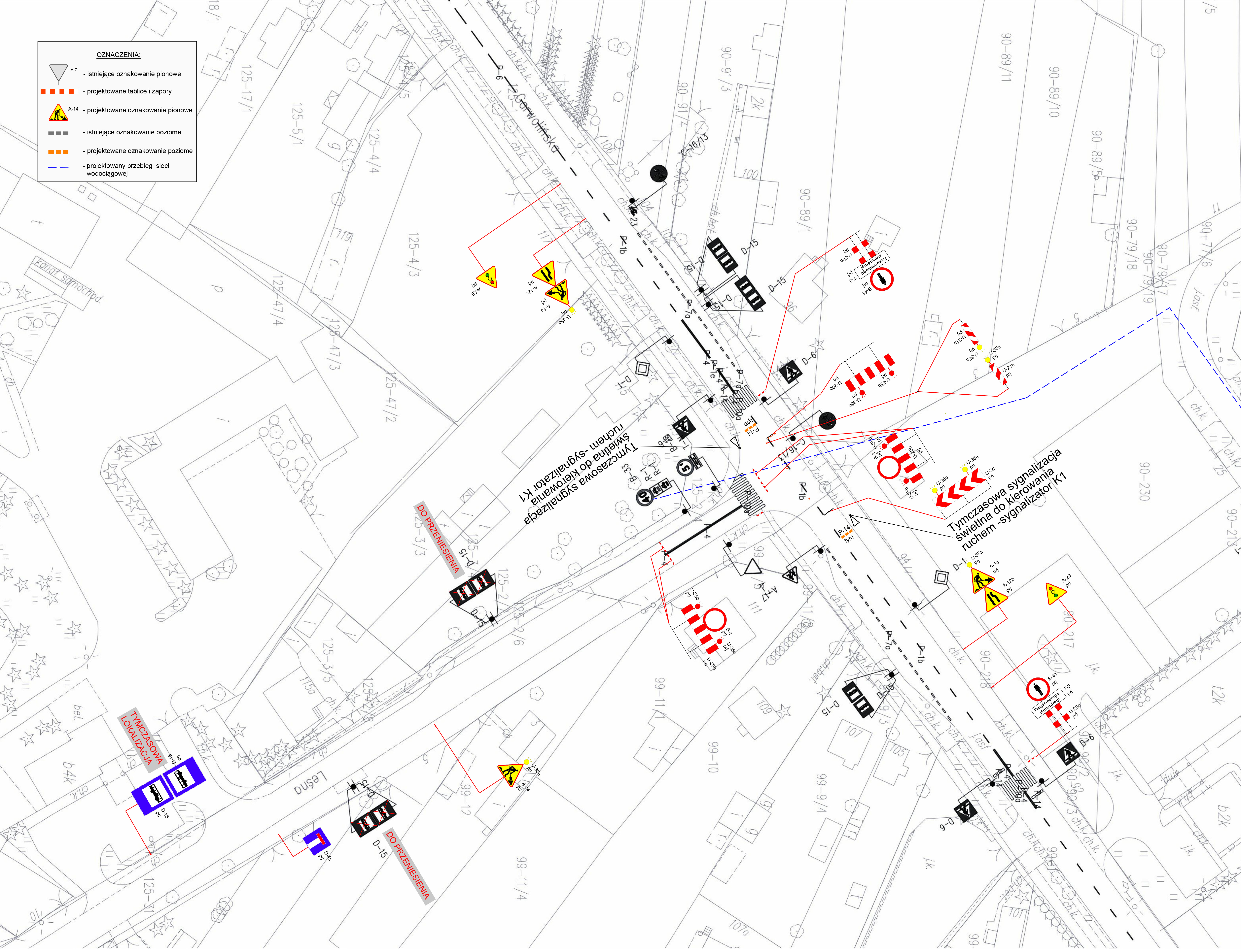
Uprzejmie informujemy, że od 23 września 2025 r. o godz. 8:00 na ul. Garwolińskiej w Siedlcach (w rejonie skrzyżowania z ul. Leśną) wprowadzone zostaną czasowe zmiany w organizacji ruchu.
Zmiany wynikają z prowadzonych przez Spółkę prac związanych z budową magistralnej sieci wodociągowej. Szczegółowe informacje przedstawiono na załączonym planie.
Obowiązująca organizacja ruchu ma charakter tymczasowy i może ulec modyfikacjom, o których będziemy informować na bieżąco.
Przepraszamy za powstałe utrudnienia i prosimy o zachowanie ostrożności oraz stosowanie się do oznakowania.
